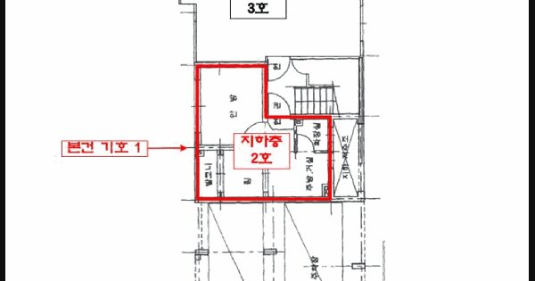
나이스옥션 법원경매 인천 2026타경72 [1] 인천광역시 계양구 효성동 623-74 아름빌라 지하층2호 미지정 경매
물건 개요
나이스옥션 법원경매 인천 2026타경72 [1] 인천광역시 계양구 효성동 623-74 아름빌라 지하층2호 미지정 경매
- 사건번호: 2026타경72
- 주소: 인천광역시 계양구 효성동 623-74 아름빌라 지하층2호
- 용도: 미지정
인천지방법원 경매24계 2026타경72 | 소재지: 인천광역시 계양구 효성동 623-74 아름빌라 지하층2호 | 감정가: 0원 | 최저가: 0원 | 용도: 미지정
법원 정보
인천지방법원 경매24계